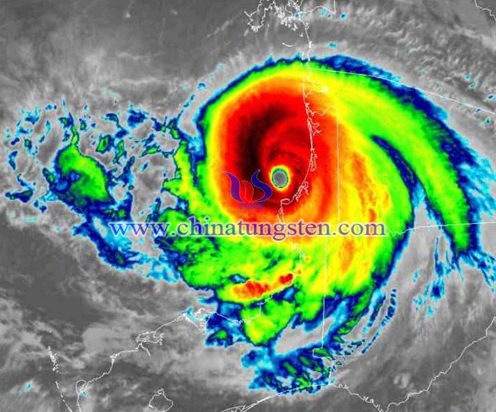
Recently, the United States is looking around for alternatives to China's rare earths. In addition, a hurricane hit the US state of Florida, causing damage to almost half of the F-22 aircraft in the base. It seems that the "Eagle Eye" filmed by NASA is not only "eyelid" and "eyes", but the power is also sufficient. Worse, these fighters are "invisible", so that the current count of damage is still in progress. Up to now, there are more than 20 damaged points. According to military experts, is this loss worth hundreds or even thousands of Lamborghini? It seems that this loss is a bit big. So, now, it is estimated that the F-22 production line is waiting for the rare earth to “open the pot”.

2018 American hurricane Michael picture
The US netizen said: "As far as I know, the rare earth mining in the United States is very difficult, not an environmental issue. It is a technical problem of separating rare earths from ore. Also, most of the known deposits are on our land. There are radioactive components in the ore!" I have heard this, and there are some technical problems in the mining of rare earths in the United States.
In this regard, the US expert said: "Mining itself is not a problem, but there are radioactive elements usually present in deposits with rare earths, that is, chemical separation is required. If industrial facilities on our land are carried out, then environmental pollution problems Will increase." The author wants to say that the feelings are because the rare earth mining "will pollute the environment"? You will not have these situations when you mine in China? Therefore, if the old US voluntarily new_s to its hometown to mine rare earth mines, it is not very good. This has to start with the actions of the US emperors on China's rare earths in recent months.

F-22 Raptors in the eye of hurricane Michael have been damaged picture
Earlier, the United States issued a ban on its Ministry of Defense to purchase high-performance permanent magnets (rare earth magnets) made in China. The author said that the ban implicitly emphasized that the US demand for rare earths is heavily dependent on Asian countries, especially China, and that it requires a “one-page ban”. In addition, this order, whether the United States is mining itself to separate, or transfer positions to buy rare earth from other countries. On the surface, China's rare earth exports have decreased. In fact, I want the author to say that this will ultimately benefit China's environmental protection and economic development.

rare earth magnet picture
You think, rare earth mining is at the expense of the environment to a certain extent, and it is still a "cabbage price" sold to the US emperor. This is not to confuse the "little cabbage". In other words, if we use the remaining rare earth reserves in China for transformation, it is not very exciting to develop our industry and armament! Of course, occasionally you can try "takenism" to buy rare earth reserves that have been consumed by China from low prices in other countries. After all, if the rare earth is used up, it will be gone. "Getting it" is just a strategy for long-term development! Moreover, most of the rare earth reserves of the US emperor are still sleeping under the ground. Who knows how many? Therefore, in a certain sense, it is also for the rare earth reserves that can be balanced with the old beauty in the future.

F-22 Raptor picture
However, the actions behind the United States are really ridiculous. You “retracted the foreword” so quickly that the rare earth metals, rare earth oxides, rare earth compounds and metal permanent magnets (including NdFeB) mentioned in the July tariff list were deleted and a new list was completed. The US emperor told the world unclearly: The American big brother still has a high degree of dependence on Chinese rare earths. Therefore, we should be honored to abolish a ban.

F-22 picture
After all, for the F22 stealth fighter, its motor has extremely demanding requirements for magnetic materials - small size, superb magnetic force, and good strength. Not only that, but also the motor material is required to withstand temperatures of 400 ° C without demagnetization degaussing. To make such a magnet, it is inseparable from cockroaches, cockroaches and cockroaches. In addition, there are data showing that about 90% of the US military's demand for rare earth elements comes from China. In other words, the F22 fighters must have these rare earth elements in order to successfully fire the engine! This is the worry of the United States! Therefore, the US emperor quickly withdrew the foreword and changed the list. However, there is an old saying in China that says, "If you say it, the water that is poured out." Moreover, the US emperor still "black and white" and has "text evidence." It can only be said that the US Emperor operated this time and then led the waves. This rare earth can be a strategic resource like tungsten, and we should still keep it. In normal times, rare earths and tungsten can be just resources. When necessary, they are strategic resources and can deter strategic competitors.

F-22 Raptor's F119 engines picture
As for the recent "France's use of cobalt nanorods instead of rare earth elements to develop a rare earth-free permanent magnet material, the performance is close to the ruthenium-based formula, may have a certain impact on China's rare earth dominance" news, we need to cause alert. But at the same time, there is no need to panic. Who can say that China is not doing related research! Having said that, the United States seems to have found a solution to the problem of rare earths. It is clear that it is not an alternative, it is a solution, and that is, the old method - imported from China.